fbpx

Grundstück in Noertzange – 86683076

Wohnfläche: 4.7 m²
681.500
Zu verkaufen
Ref: 86683076
Eigenschaften
Property size icon Wohnfläche: 4.7 m²
Property accommodation icon Verfügbarkeit: Frei
Beschreibung

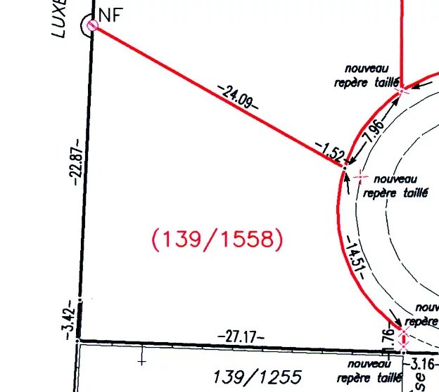
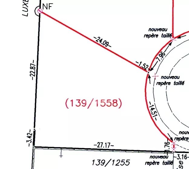
FARE S.A. offers for sale a building plot located in the municipality of Bettembourg, section E of Noertzange, registered in the land cadastre under number 139/1558, with a total surface area of 4 ares 70 centiares (470 sqm).

According to the survey plan, the plot is bounded as follows:
North side (road frontage): approx. 14.51 m
East side: approx. 27.17 m
South side: approx. 3.42 m + approx. 22.87 m
West side: approx. 24.09 m + approx. 7.96 m + approx. 1.76 m + approx. 1.52 m

These dimensions provide a well-balanced configuration with road frontage, allowing the development of a residential construction project in HAB-1 zoning, subject to the applicable urban planning regulations (PAG / PAP of the municipality of Bettembourg).

The plot is free of any building contractor obligation and enjoys a sought-after residential environment, close to nurseries and childcare facilities, the Noertzange train station, schools, shops, and amenities, as well as offering easy access to main transport routes.

📍 Location: Noertzange, municipality of Bettembourg
📐 Surface area: 4a70ca (470 sqm)
📄 Cadastral reference: Section E – No. 139/1558
🏗️ Urban zoning: HAB-1

non-contractual advertisement

Ort
Adresse: Noertzange, Luxembourg
Land: LU
You don't have permission to register
Anzeige anfordern