fbpx

Terrain à Noertzange – 86683076

Surface: 4.7 m²
681.500
A vendre
Réf: 86683076
Caractéristiques
Property size icon Surface: 4.7 m²
Property accommodation icon Disponibilité: Libre
Description

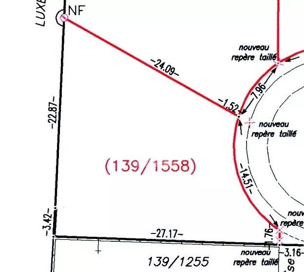
FARE S.A. vous propose à la vente un terrain constructible situé dans la commune de Bettembourg, section E de Noertzange, inscrit au cadastre sous le numéro 139/1558, d’une contenance de 4 ares 70 centiares (470 m²).

Conformément au plan de mesurage, la parcelle est délimitée par les côtés suivants :
Côté Nord (façade voirie) : ± 14,51 m
Côté Est : ± 27,17 m
Côté Sud : ± 3,42 m + ± 22,87 m
Côté Ouest : ± 24,09 m + ± 7,96 m + ± 1,76 m + ± 1,52 m

Ces dimensions offrent une configuration équilibrée ainsi qu’une façade sur voirie, permettant la réalisation d’un projet de construction résidentielle en zone HAB-1, sous réserve des prescriptions urbanistiques en vigueur (PAG / PAP applicables de la commune de Bettembourg).

Le terrain est libre de constructeur et bénéficie d’un environnement résidentiel recherché, à proximité immédiate des commodités, de la gare, des écoles et crèches, ainsi que des principaux axes de communication.

📍 Localisation : Noertzange, commune de Bettembourg
📐 Superficie : 4a70ca (470 m²)
📄 Référence cadastrale : Section E – n° 139/1558
🏗️ Zone urbanistique : HAB-1

annonce non contractuelle – non-contractual advertisement – nicht-vertragliche Werbung

Localité
Adresse: Noertzange, Luxembourg
Pays: LU
You don't have permission to register
Demander une visite